Acusan a chofer de homicidio de líder de CROC en Cancún
Cancún, Quintana Roo.- El crimen del secretario general de la Confederación Revolucionaria de...
Read MoreCancún, Quintana Roo.- El crimen del secretario general de la Confederación Revolucionaria de...
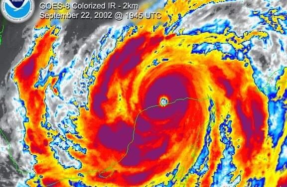
Read MorePor Juan Vázquez Montalvo Mérida, Yucatán.- El peor y último gran huracán de intensidad mayor para...
Read MoreSep 21, 2025 | Municipios, Portada |
Valladolid, Yucatán.- El conflicto en la comisaría de Dzinup, municipio de Valladolid, por los...
Read MoreSep 21, 2025 | Miscelánea |
Mérida, Yucatán.- Los intensas lluvias en todo el Yucatán dejaron el refugio de loros de Proyecto...
Read MoreMérida, Yucatán.- La abierta defensa al ex mandatario Andrés Manuel López Obrador, por los...
Read More